Pepper plants attract numerous insects that feed on leaves, bore into fruit, or transmit viruses, but most of these pests can be managed effectively through early detection and targeted intervention. Rather than spraying everything with broad-spectrum chemicals that kill beneficial insects and create new problems, understanding which pests attack peppers and when they appear allows you to implement precise management strategies. This comprehensive guide teaches you to identify the most problematic pepper pests, recognize their damage patterns, and choose appropriate control methods for your situation.
Understanding Pepper Pest Categories: How They Attack Your Plants
Pepper pests fall into three distinct categories based on how they damage plants. Sucking insects pierce plant tissue with needle-like mouthparts and drain plant fluids, causing yellowing, wilting, and stunted growth. Chewing insects consume plant tissue directly, creating holes in leaves, pods, and stems. Boring insects tunnel into fruit and stems, causing the most problematic damage because once inside the fruit, the damage is difficult to prevent or treat.
Different pest categories require different management approaches. Sucking insects respond well to insecticidal soaps and horticultural oils that coat their bodies and disrupt their protective outer layer. Chewing insects are best managed through selective sprays targeting only when populations become problematic. Boring insects require prevention through timing-based applications because once they penetrate the fruit, no spray can reach them. Understanding which category your pest belongs to determines what management strategy will actually work.
The timing of pest pressure also matters tremendously. Most pepper pests follow predictable seasonal patterns. Mid-June typically brings established aphid colonies. Early July marks the arrival of second-generation borers and earworms. Early August represents the most critical period when third-generation corn borers, armyworms, and earworms can reach devastating populations unless a control program is underway. Knowing these patterns allows you to apply controls proactively instead of reactively fighting widespread infestations.
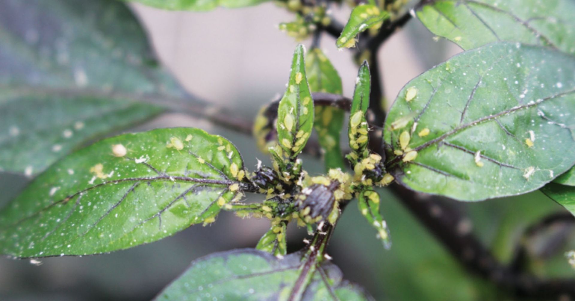
Green Peach Aphids: The Most Common Pepper Pest

Green peach aphids are the most frequently encountered pepper pest and fortunately one of the easiest to manage if caught early. These tiny insects have soft bodies and pierce leaf tissue with needle-like mouthparts to extract plant fluids. Early infestations cause minimal damage, but once populations reach 10 or more aphids per leaf before fruit set (or 5 per leaf after fruit set), control becomes necessary.
The good news is that green peach aphids are usually controlled naturally by beneficial insects including ladybugs, lacewings, parasitic wasps, and spiders. When these natural enemies are present, allowing them to suppress aphid populations prevents the need for sprays entirely. The problem arises when broad-spectrum pesticide applications kill these beneficial insects along with the target pests, creating an aphid population explosion because their natural enemies disappear.
Scout your pepper plants weekly starting in early July, examining the underside of leaves carefully because aphids hide there. Count aphids on several leaves and average the population. When counts exceed your threshold, you have options. If natural enemies are present, wait and monitor because they may control the population naturally. If populations are increasing rapidly despite beneficial insects, apply insecticidal soap or horticultural oil every 5 to 7 days until populations decline.
The key to effective aphid management is thorough coverage. These sprays work by coating the pest's body, so you must spray the leaf undersides where aphids congregate. A spreader-sticker additive helps the spray adhere better and penetrate hidden areas. Apply sprays in early morning or evening when temperatures are cool. Avoid hot midday spraying because heat damages plants further. Water your plants thoroughly before spraying so they are well hydrated and can tolerate the treatment.
Two-Spotted Spider Mites: Thriving in Hot Dry Weather

Two-spotted spider mites are microscopic pests about half a millimeter long with orange-yellow bodies and characteristic dark spots. These mites pierce leaf undersides and drain plant fluids, leaving stippled, yellowing foliage. In heavy infestations, you will see fine webbing covering leaves and stems where the mites hide and lay eggs.
Spider mites thrive during hot, dry weather and explode in population when broad-spectrum pesticides kill their natural predators. Interestingly, many beneficial insects including spiders, parasitic mites, and predatory bugs actively hunt spider mites. When you apply broad-spectrum chemicals, these natural enemies disappear, leaving spider mite populations unchecked. This is why selective pest management is so critical.
The first management option for spider mites is physical removal using a high-pressure water spray. Direct forceful water at leaf undersides to dislodge mites and wash away their protective webbing. This temporary removal gives natural predators time to establish themselves. Repeat this treatment every few days during active spider mite season.
If water spraying alone is insufficient, apply insecticidal soap or horticultural oil. These work by coating the mites and disrupting their outer protective layer. Coverage of leaf undersides is absolutely critical because that is where mites hide and feed. Make multiple applications every 7 to 10 days because mite populations have rapid reproduction cycles, and you must continue treatments until natural predators establish control.
Using reflective silver plastic mulches around your pepper plants reduces spider mite populations by reflecting light and confusing the mites' navigation. This cultural practice combined with water spraying and selective sprays provides excellent mite management without disrupting your entire beneficial insect population.
Western Flower Thrips: The Difficult Greenhouse Pest

Western flower thrips are among the most challenging pepper pests because of their rapid reproduction and multiple overlapping generations. These tiny insects have four distinct life stages: egg, larva, prepupa or pupa, and adult. The entire life cycle takes only two to three weeks, creating a very narrow window for control. Miss that window, and you have to wait for the next generation to appear.
Thrips damage pepper plants by piercing plant tissue and extracting fluids, causing stippled, discolored foliage and deformed fruit. Thrips also transmit viruses including tomato spotted wilt virus, making disease prevention another reason to control thrips populations aggressively in greenhouses and high tunnels.
The most effective thrips management combines cultural and biological approaches. First, avoid planting peppers near onions, garlic, or cereals because these crops host high thrips populations that move to peppers. Never plant near greenhouse ornamentals because cut flowers are thrip-prone hosts. This site selection dramatically reduces thrips pressure from the start.
Guardian plants, specifically marigolds, provide an innovative thrips management approach. Plant marigolds among pepper plants where they preferentially attract thrips away from peppers. Introduce Orius predatory insects (minute pirate bugs) onto the marigold plants. The Orius feed on thrips on the marigolds and reproduce there, creating a population ready to move to pepper plants as they begin flowering. By the time peppers start producing flowers, a substantial predatory population is already established to suppress thrips.
If thrips populations explode despite cultural controls, spinosad or indoxacarb are reduced risk insecticides that provide effective control while minimizing impact on beneficial insects. Apply only when populations become problematic, not preventively. Early morning or evening applications reduce the risk of leaf damage from the spray treatment itself.
Corn Earworms and European Corn Borers: Devastating Fruit Damage

Corn earworms and European corn borers cause the most economically important damage to pepper fruit in North America. These large caterpillars tunnel into developing peppers, creating cavities that lead to rot and fruit drop. Once inside the fruit, they are unreachable by sprays, making prevention through timely applications critical.
Corn earworms are brown and cream-colored larvae up to two inches long that tunnel into the side of pepper fruit. The damage appears as a hole in the fruit with a dark tunnel running inside. Many growers cut away the damaged section since earworms do not move much once established in a pepper, but the damage leaves fruit susceptible to secondary rot and disease development.
European corn borers are one-inch larvae that bore into pepper stems and fruit. These pests are most problematic in New England and northern regions but have expanded their range in recent years. Second-generation borers establish by early July, with third-generation populations reaching devastating levels by early August unless control measures are in place.
The key to managing these boring pests is timing applications to target larvae before they penetrate fruit. Scout intensively from mid-July through early August when populations peak. When populations exceed thresholds, apply insecticides at 8 to 10-day intervals during this critical window. Orthene applied at this frequency controls both corn earworms and European corn borers while also managing other pests like aphids and pepper maggots.
Some growers use the strategy of planting trap crops. Two rows of hot pepper varieties (which are less palatable) surround the main pepper crop. Pests preferentially attack the trap crop rows, protecting the main crop. This works particularly well near woodlines where corn borer populations originate.
Armyworms: The Leaf-Eating Caterpillars

Two armyworm species attack peppers: beet armyworms and fall armyworms. These caterpillars eat holes in foliage and gouge the surface of pepper fruit. Beet armyworms are common from coast to coast, while fall armyworms dominate east of the Rocky Mountains. Both species breed year-round in warm regions and throughout the year with overlapping generations.
Adult brown, gray, and cream-colored moths lay eggs in clusters directly on pepper leaves. Eggs hatch within a few days, and larvae emerge ready to feed. In summer conditions, larvae develop into adults in just 30 days, creating multiple generations per season. This rapid reproduction means that today's small larvae become tomorrow's egg-laying adults capable of doubling populations in a month.
Armyworm management relies on early detection and removal. Scout plants regularly, checking for egg clusters on leaves. Remove and crush egg clusters manually before they hatch. Check during late afternoon and evening when armyworms are active. In early morning when caterpillars hide near the soil surface, look for damaged leaves to confirm their presence.
When armyworm populations become large, spinosad or Bt (Bacillus thuringiensis) provide effective organic control. Bt is a naturally-occurring bacterium that targets specific caterpillars without affecting other insects or beneficial organisms. Apply Bt early when larvae are small and before they bore into peppers where they become unreachable. Spinosad is OMRI approved for organic production and provides broader insect control if needed.
Pepper Maggots: Named for Their Target Pest

Pepper maggots are seven-millimeter-long insects with yellow and black stripes resembling tiny bees. These specialized pests lay eggs specifically in developing pepper fruit. As larvae emerge, they mine through the pepper tissue, causing internal rot and eventual fruit drop. This damage makes infested peppers unmarketable whether for fresh market or processing.
Pepper maggots become problematic starting in mid-July when second-generation populations establish. They are most damaging in mid to late July and early August when multiple generations overlap. The larvae are visible within the fruit 8 to 10 days after egg laying, but by then the damage is done and the fruit is already compromised.
Management focuses on prevention because internal fruit damage cannot be treated. Scout intensively during mid-July through early August. When maggot populations appear, apply Orthene at 8 to 10-day intervals. Some growers use the solid spinosad bait product called Seduce, though results have been mixed. The critical factor is treating during the narrow window before larvae bore into fruit.
Flea Beetles and Cutworms: Minor but Damaging Pests

Flea beetles are tiny insects about one-eighth inch long that chew small round holes in foliage. While the damage is primarily cosmetic, large flea beetle populations can defoliate young pepper plants, stunting their growth. The palestriped flea beetle is dark with a pale yellow stripe along each wing cover and is the most common species on peppers.
Flea beetles jump rapidly when disturbed, making them distinctive. They are most problematic on seedlings and newly transplanted peppers that lack the vigor to tolerate significant defoliation. For established plants, flea beetle damage is usually tolerable. If populations are excessive on young plants, row covers prevent flea beetles from accessing plants. Once peppers reach four to six inches tall, they can typically tolerate flea beetle damage without significant yield impact.
Cutworms are fat gray, brown, or black caterpillars up to two inches long that cut pepper seedlings at the soil surface, severing them cleanly and killing the plant. These nocturnal feeders hide in soil during the day and emerge at night to feed. Cutworm management starts with proper seedling handling. Create cutworm collars around transplants by wrapping small paper cups or cardboard sleeves around the stem. These physical barriers prevent cutworms from reaching the stem.
Natural and Organic Pest Sprays: Recipes for Success
Several effective natural sprays provide pepper pest management without synthetic chemicals. Hot pepper spray is a general repellent effective against caterpillars, cabbage worms, ants, aphids, beetles, and cutworms. Finely chop 15 peppers and add 1 liter of water. Steep for 24 hours, strain, and apply. Repeat weekly or after new infestation signs. Apply during early morning or evening to prevent leaf burn.
Insecticidal soap made from 1 to 2 drops of liquid castile soap in water serves as a preventative against aphids and works better when combined with neem oil and peppermint extract. Mix all ingredients together and let the mixture steep overnight. Spray on affected plants, avoiding skin and eye contact by wearing gloves. Apply in early morning or evening. Remember to wash treated peppers before using them in food preparation.
Horticultural oil creates a coating that disrupts the protective outer layer of soft-bodied pests like aphids, spider mites, and thrips. Apply in early morning or evening when temperatures are cool. Water plants thoroughly before spraying. Thorough coverage of leaf undersides is critical because that is where pests hide and feed. Repeat applications every 7 to 10 days as needed.
Neem oil, derived from the neem tree, acts as an anti-feedant, discouraging pests from eating treated foliage. It also disrupts insect hormones and reproduction. Apply neem oil in early morning or evening. Avoid application when temperatures exceed 85 degrees Fahrenheit to prevent leaf damage. Multiple applications at 7 to 10-day intervals are usually necessary for effective control.
Diatomaceous earth is a fine silicate powder that works through physical action, shredding the outer protective layer of insects. It is not technically a pesticide but rather a mechanical control method. Apply to dry foliage. Reapply after rain or overhead watering. Use food-grade diatomaceous earth only, never pool-filter grade.
Spinosad is an OMRI-approved spray derived from soil-dwelling bacteria. It is effective against caterpillars, leaf miners, and other chewing insects. Apply when populations exceed thresholds. Do not spray during peak bee activity hours or when flowers are blooming to protect pollinating insects.
Integrating Prevention, Monitoring, and Treatment
The most effective pest management approach combines cultural practices, regular monitoring, and targeted treatment only when necessary. Start by choosing pepper varieties resistant to specific regional pests when available. Practice crop rotation, moving peppers to different garden areas each year to break pest cycles. Ensure adequate plant spacing for air circulation and light penetration, which inhibit many pests. Remove weeds that harbor pest populations and provide alternate hosts.
Scout your pepper plants weekly starting in early July. Examine four leaves per plant on at least 25 plants. Count pests and beneficial insects. Keep records of populations to identify trends. This data guides your treatment decisions. When populations exceed thresholds, you have specific information to justify treatment rather than guessing.
When treatment becomes necessary, choose the least disruptive option first. Organic sprays, beneficial insects, and selective chemicals that target specific pests allow natural enemies to survive and provide ongoing pest suppression. Save broad-spectrum chemicals as a last resort when populations threaten to destroy your crop.
Identifying Pests from Damage Patterns
Sometimes you cannot locate the actual pest but see suspicious damage symptoms. Holes in leaves suggest chewing insects or disease. Yellowing and stippling suggest sucking insects like spider mites or whiteflies. Tunneling damage inside fruit suggests boring insects. Wilting despite adequate moisture suggests either root problems or internal stem damage from borers.
If you cannot identify a pest or damage pattern with confidence, photograph the affected area from multiple angles and upload to Plantlyze at www.plantlyze.com. This AI powered plant pest identification tool analyzes your photos and identifies the pest causing damage. Knowing exactly what pest you are fighting allows you to implement precise management instead of generic treatments that may be ineffective. Early identification often means catching infestations before they cause significant damage.
Bringing It All Together: Your Pepper Pest Management Strategy
Effective pepper pest management requires understanding which pests attack peppers in your region, when they typically appear, and what management strategies work for each species. Start with prevention through site selection, variety choice, and crop rotation. Monitor plants weekly during critical pest periods from mid-July through early August. Implement treatment when populations exceed thresholds, starting with the least disruptive option. Preserve natural enemies by using selective sprays that target pests while allowing beneficial insects to survive and suppress pest populations.
This integrated approach prevents pest populations from reaching economic damage levels while minimizing environmental impact and protecting the beneficial insects that provide long-term pest suppression. Most pepper pests are manageable when you know what you are fighting, when to expect them, and what control methods will actually work.
References
North Carolina State Extension: Pests of Peppers
https://content.ces.ncsu.edu/insect-and-related-pests-of-vegetables/pests-of-pepperUniversity of Connecticut IPM: Pepper Integrated Pest Management Options
https://ipm.cahnr.uconn.edu/summary-pepper-integrated-pest-management-options/UC IPM: Peppers Agriculture Pest Management Guidelines
https://ipm.ucanr.edu/agriculture/peppers/New England Vegetable Management: Insect Control for Pepper
https://nevegetable.org/crops/pepper/insect-control





